Thông tin về bọ xít hút máu người ở nhiều địa phương trong cả nước đã khiến dư luận quan tâm và người dân lo lắng về nguy cơ gây bệnh của loài bọ xít này; từ 5- 9/7/2010, Viện Sốt rét-Ký sinh trùng-Côn trùng Quy Nhơn đã thành lập đoàn điều tra khảo sát một số nơi có bọ xít đốt người ở khu vực miền Trung-Tây Nguyên (TP. Đà Nẵng, tỉnh Quảng Nam, Quảng Ngãi và Bình Định) nhằm xác định chính xác thồng tin và báo cáo Bộ Y tế có ý kiến chỉ đạo.
Nội dung và phương pháp điều tra
Làm việc với Trung tâm Y tế dự phòng các tỉnh/thành phố thuộc phạm vi điều tra về tình hình bọ xít đốt máu người tại địa phương.
Tiến hành điều tra, khảo sát tại những địa điểm có người dân bị bọ xít đốt
-Điều tra phát hiện và thu thập mẫu bọ xít, làm tiêu bản các mẫu vật để định loại xác định loài, tìm hiểu khả năng gây bệnh và vai trò truyền bệnh;
-Phối hợp với Viện Sinh thái-Tài nguyên sinh vật định loại loài bọ xít hút máu người và dự báo khả năng lan truyền bệnh Chagas tại Việt Nam;
-Điều tra những người dân bị bọ xít đốt, quan sát mô tả vết đốt, phỏng vấn người dân về diễn biến sức khỏe sau khi bị đốt và hoạt động của loài bọ xít này tại địa phương;
-Lấy máu làm giọt đặc và giọt đàn để nhuộm và xét nghiệm tìm ký sinh trùng Trypanosoma gây bệnh Chagas.
-Lưu trữ mẫu máu của những người được xét nghiệm để sau này tiến hành thử nghiệm kỹ thuật sinh học phân tử (PCR).
-Báo cáo Bộ Y tế và phản hồi các địa phương về kết quả điều tra bọ xít đốt máu người để có biện pháp chỉ đạo phòng chống.
Kết quả điều tra
Kết quả thu thậpvà định loại mẫu bọ xít tại các điểm điều tra
Các địa điểm phát hiện có bọ xít đốt máu người
-Tại TP. Đà Nẵng: theo báo cáo của Trung tâm y tế dự phòng đến ngày 5/7/2010 đã ghi nhận 12 điểm xuất hiện bọ xít (ngày 3/7/2010 chỉ có 4 điểm) với 15 cá thể thu thập, trong đó 5 điểm xác định có bọ xít đốt máu người.
-Tại huyện Núi Thành (tỉnh Quảng Nam) bắt được 1 cá thể.
-Tại xã Nghĩa Kỳ, huyện Tư Nghĩa (tỉnh Quảng Ngãi) bắt được 1 cá thể.
-Tại TP. Quy Nhơn (tỉnh Bình Định) bắt được 2 cá thể hút máu người.
Kết quả thu thập mẫu bọ xít tại các điểm điều tra
-Điều tra côn trùng tại 3 nhà theo danh sách thông báo có bọ xít đốt hoặc đã bắt được bọ xít, nhưng kết quả không phát hiện được cá thể bọ xít nào.
-Các mẫu vật thu thập là do người dân bắt và mang đến nộp tại Trung tâm Y tế dự phòng theo các địa điểm và thời gian được ghi nhận như sau:
SốTT | Hộ gia đình | Địa chỉ | Số lượng | Ngày bắt |
1 | Ng. Thị Thu Thùy | H4/19/K32 Lê Hữu Trác Sơn Trà, Đà Nẵng | 01 | 2/7/2010 |
2 | Trần Mùi | K8590 Hàn Mạc Tử, Đà Nẵng | 02 | 5/7/2010 |
3 | Phạm Đức Hoàng | 36/9 Châu Văn Liêm, Đà Nẵng | 01 | |
4 | Võ Tthị Thanh Hà | 210/1 Trần Cao Vân, Đà Nẵng | 01 | |
5 | Lê Thị Thanh Lan | 112 Hoàng Hoa Thám, Đà Nẵng | 01 | |
6 | Thái Tuyết Lê | K85/18 Hàn Mạc Tử, Đà Nẵng | 01 | |
7 | Nguyễn Văn Ty | 371/2 Trưng Nữ Vương, Đà Nẵng | 01 | |
8 | Phan Chánh Tốn | 572/77 Ông Ích Khiêm, Đà Nẵng | 01 | |
9 | Nguyễn Văn Châu | 36/20 Yên Bái, Đà Nẵng | 01 | 6/7/2010 |
10 | | Thạch Gián, Thanh Khê, Đà Nẵng | 01 | 5/7/2010 |
11 | Ng. T. Cẩm Thạch | 203/5 Nguyễn Tri Phương, Đà Nẵng | 01 | |
12 | Hoàn | Châu Văn Liêm, Đà Nẵng | 01 | |
13 | Trần T. Thu Hiền | 316/12 Núi Thành, Hòa Cường Bắc, Quảng Nam | 01 | |
14 | | Thôn An Hội 3, Nghĩa Kỳ, Tư Nhĩa, Quảng Ngãi | 01 | |
15 | | Thành phố Quy Nhơn, tỉnh Bình Định | 02 | 6/7/2010 |
Tổng số mẫu | 19 | |
-Tổng số mẫu thu thập 19 cá thể (03 con bị nát), trong đó có 3 ấu trùng (chưa có cánh) và 16 con trưởng thành (6 con đực và 10 con cái).
Kết quả định loại bọ xít
-Đặc điểm hình thể bên ngoài: các cá thể bọ xít thu thập được đều có 3 đôi chân, đầu, thân và các phần phụ khác nhẵn; ở rìa thân có sọc màu vàng rất dễ nhận thấy bằng mắt thường. Bọ xít hút máu người không có mùi hôi, nhưng có màu nâu đặc trưng, khác với các loại bọ xít khác có đủ màu xanh, đen, nâu...
-Khoa Côn trùng, Viện Sốt rét-Ký sinh trùng-Côn trùng Quy Nhơn đã phối hợp với Phòng Côn trùng thực nghiệm-Viện Sinh thái & Tài nguyên Sinh vật thống nhất khóa định loại và tiến hành xác định loài của các mẫu vật thu được. Kết quả định loại cho thấy tất cả các cá thể bọ xít thu thập được đều là loài bọ xít hút máu Triatoma rubrofasciata (De Geer, 1773); thuộc giống Triatoma Laporte, 1832 (Heteroptera: Reduviidae: Triatominae).
Đặc điểm hoạt động và hút máu người
-Các chủ hộ và những người bị bọ xít đốt được phỏng vấn cho biết bọ xít chỉ đốt người vào ban đêm khi đang ngủ nên chưa có ai thấy trực tiếp bọ xít đốt người. Những người bị đốt thức dậy mới phát hiện bọ xít ở dưới chiếu, nệm, ghế, trong màn hoặc gần nơi ngủ. Trong gia đình có thể có 1 hoặc nhiều người bị đốt, người bị đốt có thể có từ 1 vết đến 10 vết đốt.
-Số lượng bọ xít bắt được ở mỗi nhà từ 1 - 4 con, tại nhà anh Phạm Đức Hoàng (36/9 Châu Văn Liêm, Đà Nẵng) sau khi bị đốt, có bắt giết một số con, sau đó dùng bình xịt Raid (hoạt chất cypermethrine) thì thấy rơi xuống ước 80 con, chứng tỏ bọ xít đã làm tổ trong nhà và bị diệt bởi hóa chất pyrethroid.
-Một số cá thể bọ xít phát hiện có máu trong dạ dày, tuy nhiên để xác định chính xác khả năng gây bệnh cần tiếp tục điều tra và có thêm những nghiên cứu chuyên sâu.
 |
Hình ảnh bọ xít đốt máu người ở Đà Nẵng |
Kết quả điều tra vết bọ xít đốt và ảnh hưởng sức khỏe của người bị bọ xít đốt
Quan sát và mô tả vết đốt của bọ xít
-Quan sát vết đốt của bọ xít thấy một người có thể bị nhiều vết đốt, có người bị đến 10 vết đốt, có những vết đốt rất gần nhau.
-Tại vết đốt có hiện tượng đau, ngứa, sưng tấy lan rộng ra xung quanh; sau 3-5 ngày một số vết thương tự lành không để dấu vết gì, một số vết đốt vẫn còn thẫm màu có đường kính khoảng 1-2 cm.
 |  |
Vết đốt bọ xít ở tay 1 người dân TP. Đà Nẵng sau 3 ngày | Hai vết đốt bọ xít trên lưng ở 1 người dân TP Đà Nẵng sau 5 ngày |
Kết quả xét nghiệm
Kết quả xét nghiệm máu ở những người bị bọ xít đốt (xét nghiệm lam máu giọt đặc và giọt đàn) nhuộm giêm sa, soi dưới kính hiển vi quang học chưa phát hiện ký sinh trùng Trypanosoma hoặc các hình thể có hình dạng trùng roi Trypanosoma trên lam máu.
Ảnh hưởng sức khỏe người dân bị bọ xít đốt
-10/12 người bị bọ xít đốt được điều tra đều không có biểu hiện sốt, không có biểu hiện buồn ngủ.
-2/12 người bị bọ xít đốt sử dụng thuốc chống dị ứng có cảm giác buồn ngủ nên nhầm tưởng là “bệnh ngủ” do bọ xít.
Nhận xét và bàn luận
Phân bố một số loài bọ xít thuộc giống Triatoma Laporte (1833) trên thế giới
Phân bố một số loài bọ xít hút máu ở Việt Nam và Châu Á
1)T. amicitiae Lent, 1951b, Phân bố: Sri Lanka.
2)T. bouvieri Larrousse, 1924; phân bố: Nicobar Is., Philippines, Viet Nam.
3)T. migrans Breddin, 1903; phân bố: India (Sikkim), Indonesia (Borneo, Java, Sumatra), Malaysia, Philippines,Sarawak, Thailand.
4)T. rubrofasciata (De Geer, 1773); phân bố: Andaman Is., Angola, Antigua, Argentina (Bs.As.), Azores, Bahamas, Brazil (Alagoas, Bahia, Maranhão, Pará, Paraiba, Pernambuco, Rio de Janeiro, RGN, Sao Paulo, Sergipe), Cambodia, Carolina Is., China, Comores, Cuba, Dominican Rep., Fr.Guiana, Grenada, Guadeloupe, Haiti, HongKong, India (Assam), Indonesia (Borneo, Java, Sumatra), Jamaica, Japan (Okinawa), Madagascar, Malaysia, Martinique, Mauritius, Myanmar, Papua New Guinea, Philippines, Reunion, Rodriguez Is., Saudi Arabia, Seychelles, Sierra Leone, Singapore, South Africa, Sri Lanka, St.Croix, St.Vincent, Taiwan, Tanzania, Thailand, Trinidad, Venezuela, Viet Nam, Virgin Is., USA (Florida, Hawaii).
5)T. sinica Hsaio, 1965; phân bố: China (Nanking)
Theo tài liệu của Tổ chức y tế thế giới (WHO-2002, WHO Technical Report Series, 905, CONTROL OF CHAGAS DISEASE, Second report of the WHO Expert Committee), vector truyền bệnh T. cruzi là côn trùng thuộc (Bộ) Hemiptera, Family (Họ)Reduviidae and subfamily (họ phụ) Triatominae. Hiện nay, có trên 130 species (loài) đã được biết thuộc 16 giống (genera) (Alberprosenia, Martínez & Carcavallo, 1977; Bolbodera, Valdés, 1910; Belminus, Stål, 1859; Microtriatoma, Prosen & Martínez, 1952; Parabelminus, Lent, 1943; Cavernicola, Barber, 1937; Torrealbaia, Carcavallo, Jurberg & Lent, 1998; Psammolestes, Bergroth, 1911;Rhodnius, Stål, 1859; Dipetalogaster, Usinger, 1939; Eratyrus, Stål, 1859; Hermanlentia, Jurberg & Galvão, 1997; Mepraia, Mazza, Gajardo & Jörg, 1940; Panstrongylus, Berg, 1879; Paratriatoma, Barber, 1938; and Triatoma, Laporte, 1832).
Tuy nhiên chỉ có một số loài thuộc 3 giống Triatoma, Rhodnius, and Panstrongylus, là vector quan trọng lan truyền T. cruzi giữa động vật và người ở vùng lưu hành bệnh. Tất cả 3 giống này phân bố rộng rãi ở Châu Mỹ từ Mexico đên Argentina và Chile.
 |
Các loài bọ xít (Bug) ở Châu Mỹ |
Bệnh Chagas và vai trò truyền bệnh của bọ xít hút máu trên thế giới
Bệnh Chagas là bệnh ký sinh trùng nhiệt đới do trùng roi Trypanosoma cruzigây nên. T. cruzi thường được truyền cho người và động vật có vú khác do một loại vector côn trùng hút máu. thuộc họ phụ Triatominae (họ Reduviidae). Đa số các loài phổ biến thuộc giống Triatoma, Rhodnius, và Panstrongylus. Bệnh cũng có thể được lan truyền thông qua truyền máu hoặc ghép nội quan, ăn phái thức ăn có nhiễm ký sinh trùng hoặc từ mẹ truyền qua thai nhi.
Các triệu chứng của bệnh Chagas thay đổi tùy thuộc vào quá trình nhiễm bệnh. Giai đoạn sớm, giai đoạn cấp tính, các triệu chứng thường nhẹ và sưng tấy cục bộ tại vị trí bị nhiễm. Giai đoạn cấp tính ban đầu là sự đáp ứng với các thuốc điều trị chống ký sinh trùng, có 60-90% tỷ lệ được chữa khỏi. Sau 4-8 tuần, những người bị nhiễm thực sự bước vào giai đoạn mãn tính của bệnh Chagas có 60-80% người mắc bệnh mạn tính không có triệu chứng trong suốt đời sống. Việc điều trị ký sinh trùng cũng cho thấy là làm chậm hoặc ngăn ngừa sự phát triển của triệu chứng bệnh trong suốt giai đoạn mạn tính. Nhưng có 20-40% người bị nhiễm bệnh mạn tính sẽ vẫn còn tiến triển dẫn đến tim bị hủy hoại và rối loạn hệ tiêu hóa. Các thuốc điều trịbệnh Chagas hiện nay là benznidazole và nifurtimox, các thuốc này có thể gây nên các tác dụng phụ tạm thời ở nhiều bệnh nhân như rối loạn về da, gây độc cho não và dị ứng hệ tiêu hóa.
Bệnh Chagas thường thu hẹp chủ yếu ở Mỹ, đặc biệt là ở các vùng nông thôn nghèo của Mexico, Trung Mỹ và Nam Mỹ; hiếm khi thay đổi. Bệnh có nguồn gốc ở Nam Mỹ. Các côn trùng truyền bệnh này được gọi bằng nhiều tên địa phương khác nhau như vinchuca ở Argentina, Bolivia và Paraguay, barbeiro ở Brazil, pito ở Colombia, chinche ở Trung Mỹ, chipo ở Venezuela, chupança, chinchorro, “rệp hôn/the kissing bug". Người ta dự đoán có khoảng 8-11 triệu người ở Mexico, Trung Mỹ, và Nam Mỹ mắc bệnh Chagas, đa số không biết họ bị nhiễm bệnh. Sự di cư một lượng lớn dân cư từ các vùng nông thôncủa Mỹ la tinh đến những vùng khác trên thế giới đã làm gia tăng sự phân bố địa lý của bệnh Chagas. Và các trường hợp mắc bệnh đã được lưu ý/note ở nhiều quốc gia, đặc biệt ở châu Âu.Các chiến lược phòng chống chủ yếu tập trung vào việc loại trừ côn trùng truyền bệnh và ngăn chặn sự lan truyền từ các nguồn khác.
Theo báo cáo của WHO-2007 (WHO Consultation on International Biological Reference Preparations for Chagas Diagnostic Tests, Geneva, 2–3 July 2007), những khó khăn về kinh tế đã làm gia tăng số dân di cư từ Châu Mỹ La tinh đến Úc,Canada, Nhật Bản, từ Mỹ đến các nước Châu Âu. Theo báo cáo này có hơn 7 triệu dân di cư bất hợp pháp từ Châu Mỹ La Tinh đến Mỹ. Ở Châu Âu và Tây Ban Nha là những nơi có số lượng dân di cư từ Mỹ La tinh cao nhất (năm 2006 có1.8 triệu ). Vì vậy nguy cơ nhiễm T. cruzi qua truyền máu hoặc ghép tạng là vấn đề sức khỏe tiềm tàng tại các nước không có bệnh lưu hành.
Như vậy, nguy cơ lan truyền bệnh Chagas do véc tơ truyền bệnh thuộc giống Triatoma, Rhodnius, và Panstrongylustruyền ký sinh trùng T. cruzi bằng đường máuthông qua các dịch vụ du lịch, dân di cư là có khả năng xảy ra.
|
Bản đồ di cư của dân và bệnh Chagas |
Sự xuất hiện và khả năng truyền bệnh của bọ xít hút máu ở Việt Nam
Các nghiên cứu về bọ xít hút máu ở Việt Nam
Ở Việt Nam trước đây chưa có một công trình nghiên cứu chuyên sâu về các loài bọ xít hút máu thuộc giống Triatoma Laporte, 1832; tuy nhiên, có một số tác giả trong và ngoài nước đã ghi nhận sự có mặt của chúng ở Việt Nam như sau:
-Năm 1979: Lent và Wygodzinsky đã ghi nhận các loài Triatoma rubrofasciata, T. migrans và T. rubida có phân bố ở Việt Nam và đã mô tả chi tiết loài T. rubrofasciata [5].
-Năm 1981: Hsiao và Ren đã ghi nhận và mô tả loài T. rubrofasciata (De geer, 1773) [4] có vùng phân bố ở Trung quốc và Việt Nam.
-Năm 2002: Tạ Huy Thịnh và cs (Viện Sinh thái và Tài nguyên sinh vật) cũng ghi nhận loài T. rubrofasciata có ở Vĩnh Phúc [2].
-Năm 2004: Trương Xuân Lam (Viện Sinh thái và Tài nguyên sinh vật) đã xây dựng khóa định loại các loài thuộc giống Triatoma đã biết ở Việt Nam và mô tả hình thái của loài T. bouvieri Larrousse, 1924 là loài được ghi nhhận lần đầu tiên ở Việt Nam [1].
Sự xuất hiện của loài bọ xít hút máu Triatoma rubrofasciata ở Việt Nam
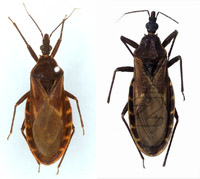
-Các cá thể bọ xít thu thập được ở Tp. Đà Nẵng, các tỉnh Quảng Nam, Quảng Ngãi và Bình định đều là loài bọ xít hút máu Triatoma rubrofasciata (De Geer, 1773); thuộc giống Triatoma Laporte, 1832 (Heteroptera: Reduviidae: Triatominae).
-Các loài bọ xít thuộc họ Reduviidae là những loài bọ xít bắt mồi, trong họ này phần nhiều là côn trùng có ích, chuyên săn bắt côn trùng khác để ăn; song cũng có một số loài là những loài bọ xít hút máu, các vết đốt rất đau, sưng nhiễm, ngứa và nhiều loài trong số chúng là những véc tơ của Trypanosoma cruzi truyền bệnh Chaga ở Trung Mỹ và Châu Mỹ La tinh. Các giống có các loài bọ xít là véc tơ quan trọng: Triatoma, Rhodnius và Panstrongylus.
-Loài bọ xít Triatoma rubrofasciata đã được xác định có sự phân bố rất rộng ở nhiều nước trên thế giới và là một véc tơ bệnh Chagas ở các nước Nam Mỹ, nên không loại trừ khả năng truyền bệnh Chagas ở Việt Nam nếu như có sự hiện diện của mầm bệnh Trypanosoma.
Bọ xít hút máu Triatoma rubrofasciata phát hiện tại Việt Nam (2010) |
Mật độ và một số tập tính của bọ xít hút máu
-Kết quả điều tra cho thấy bọ xít chỉ đốt người vào ban đêm khi đang ngủ, một số cá thể bọ xít thu thập có máu trong dạ dày, đặc biệt một số cán bộ của Phòng Côn trùng thực nghiệm-Viện Sinh thái và Tài nguyên sinh vật trong quá trình nghiên cứu đã bị bọ xít đốt và thấy trực tiếp bọ xít đốt mình, chứng tỏ thông tin về loài bọ xít Triatoma rubrofasciatađốt người ở Việt Nam cần được quan tâm.
-Tập tính đặc trưng của loài bọ xít này là thường hoạt động vào ban đêm, khi con người hoặc động vật đang ngủ say thì bò ra hút máu; đây chính là nguyên nhân khiến nhiều người ít biết đến loài côn trùng này, sau khi tỉnh dậy thấy vết côn trùng đốt, vết đốt có thể to, đỏ, phồng xung quanh nhưng nhiều người cho rằng là vết muỗi, kiến đốt.
Lâm sàng triệu chứng bệnh và thuốc điều trị
Lâm sàng và triệu chứng bệnh
Bệnh do Trypanosoma là bệnh do ký sinh trùng đơn bào, lớp trùng roi gây ra, bệnh được chia thành hai nhóm bệnh chính là:
-Bệnh do Trypanosoma Châu Mỹ, chính là bệnh Chagas. Bệnh lây từ động vật sang người do T. cruzi gây ra. Thể cấp thường nhẹ, có sốt. Thể mạn tính có nồng độ kháng thể kháng T. cruzi cao và không có triệu trứng lâm sàng. Một số ít bệnh nhân mạn tính có tổn thương tim, hệ tiêu hoá, cos thể tử vong.
-Bệnh do Trypanosoma Châu Phi, đây là bệnh ngủ (sleeping sickness), do T.brucei gây ra, lây truyền qua các vết cắn của ruồi Glossina bị nhiễm bệnh. Bệnh có biểu hiện lâm sàng sớm là các nốt "săng" đặc hiệu, sốt, viêm hạch lympho..., muộn gây bệnh ngủ do viêm não-màng não dẫn đến tử vong.
Chẩn đoán và điều trị
-Chẩn đoán xác định bệnh Chagas cũng như bệnh ngủ chủ yếu dựa vào các xét nhiệm ký sinh trùng: như: nhuộm giêmsa, soi tìm ký sinh trùng ở các bệnh phẩm là máu, hạch lympho, các mảnh mô hoặc các chất dịch cơ thể; ngoài ra có thể áp dụng các phương pháp ELISA hoặc PCR để chẩn đoán bệnh
-Về điều trị bệnh Chagas hiện nay ở các nước Mỹ La Tinh đang sử dụng Nifurtimox hoặc Benznidazol. Điều trị đặc hiệu bệnh ngủ do Trypanosoma tuỳ theo giai đoạn bệnh và loại ký sinh trùng. Thuốc kinh điển nhưng vẫn được dùng là Suramin, Pentamidin; thuốc thay thế hiện nay là Efornithin (difluoromethylornithine).
Kết luận và đề nghị
Kết luận
Kết quả điều tra bước đầu về bọ xít đốt người tại một số tỉnh miền Trung cho phép rút ramột số kết luận
-Kết quả định loại xác định loài bọ xít hút máu này là Triatoma rubrofasciata (De Geer, 1773), thuộc giống Triatoma Laporte, 1832 (Heteroptera: Reduviidae: Triatominae) là loài trung gian truyền bệnh Chagas.
-Kết quả xét nghiệm máu của tất cả những người bị bọ xít đốt chưa phát hiện có sự hiện diện của Trypanosoma trên các tiêu bản máu.
-Đặc điểm bọ xít đốt người vào ban đêm gây đau, ngứa và khó chịu tại vết đốt, nhưng người bị đốt chưa có biểu hiện sốt, buồn ngủ hoặc biểu hiện gây bệnh Chagas có thể là do ở Việt Nam chưa có người mang ký sinh trùng Trypanosoma.
-Thông tin về “bọ xít” đốt máu người xuất hiện ở địa bàn nhiều tỉnh, thành phố như Đà Nẵng, Quảng Nam, Quảng Ngãi, Bình Định… là có cơ sở và cần được quan tâm giải quyết.
Đề nghị
Cho dù đến thời điểm này ở Việt Nam chưa phát hiện ra trường hợp nào bị bệnh do bọ xít này là trung gian lây truyền bệnh; nhưng trước thực trạng bọ xít đốt người cần có một số biện pháp trước mắt như sau.
Biện pháp phòng chống bọ xít đốt
-Bọ xít đốt đau và nhiều người dân đã xác định là bị bọ xít đốt, các vết đốt rất đau, sưng nhiễm và ngứa; nên chúng ta cần tuyên truyền rộng rãi cho người dân biết về loài bọ xít này và cách phòng tránh hoặc diệt trừ hữu hiệu nhất; công tác y tế dự phòng chống bọ xít càng sớm thì việc tránh rủi ro về bệnh dịch và chi phí tiền bạc cho việc tiêu diệt nó càng ít.
-Người dân có thể nhận biết loại côn trùng này, khi nhìn thấy nó với các biểu hiện, có màu nâu, nhỏ hơn bọ xít ở cây nhãn. Nếu thấy chúng xuất hiện trong nhà, khe tủ, dưới đệm, giường tốt nhất là dùng vải ẩm chụp lên, giữ chặt cho côn trùng chết hẳn rồi bỏ vào thùng rác. Ngoài ra cũng có thể ngăn cản sự sinh sôi, phát triển của loài côn trùng này trong nhà bằng cách vệ sinh nhà cửa sạch sẽ, khô ráo, thường xuyên vệ sinh các nơi ẩm thấp như khe giường, gầm tủ, gầm giường, dưới đệm.
-Còn không may khi bị đốt, nên rửa sạch chỗ vết đốt dưới vòi nước chảy; nếu vết đốt sưng nặng nề, khó chịu, ngứa thì nên đến bác sĩ da liễu, tùy từng trường hợp bác sĩ sẽ kê thuốc bôi chống viêm tại chỗ, hoặc có thể sử dụng thuốc giảm đau, kháng sinh tùy từng trường hợp.
-Có thể dùng các hóa chất dùng trong y tế, như Permethrin 50EC, Fendona 10SC, ICON 10 WP (nhóm hóa chất pyrethroid), liều 30mg hoạt chất /m2 để phun trong và xung quanh nhà giống như phun diệt muỗi để phòng và tiêu diệt bọ xít.
Biện pháp phòng ngừa nhiễm bệnh do bọ xít đốt
-Việt Nam tuy chưa có báo cáo ca bệnh Chagas hoặc bệnh ngủ nào cho đến nay, nhưng chúng ta cũng cần phải đề phòng nguồn bệnh du nhập từ nước ngoài(T. cruzi) với sự hiện diện của trung gian truyền bệnh Triatoma rubrofasciatađốt người tương đối phổ biến thì bệnh có thể lan tràn ở nhiều nơi trong nước; nếu người dân bị bọ xít đốt mà thấy xuất hiện các biểu hiện triệu chứng nêu trên, cần đến các cơ sở y tế để được khám phát hiện bệnh và điều trị.
-Cần đưa thêm danh mục bệnh Chagas và xét nghiệm máu tìm ký sinh trùng T. cruzi tại các Trung tâm kiểm soát dịch bệnh quốc tế (sân bay, cửa khẩu, hải cảng…) để đề phòng nguồn bệnh này từ nước ngoài xâm nhập, đặc biệt chú ý người du nhập từ các nước Nam Mỹ.
Nghiên cứu chuyên sâu về loài bọ xít là trung gian truyền bệnh
Không nên kết luận quá sớm là loài bọ xít đốt máu người không có khả năng truyền bệnh vì đây là véc tơ truyền bệnh chính đã được xác định, cũng không nên tuyên truyền thái quá về loài bọ xít này khiến người dân hoang mang lo lắng.
Để có những thông tin đầy đủ và chính xác hơn, tạo cơ sở đề xuất những biện pháp phòng chống chủ động và hiệu quả cho người dân, chúng ta cần tiếp tục triển khai các cuộc điều tra và nghiên cứu chuyên sâu về bọ xít hút máu. Các nghiên cứu về bọ xít phải trả lời các câu hỏi đã đặt ra là:
-Tại sao bọ xít đốt máu người lại xuất hiện rầm rộ cùng lúc ở nhiều địa phương trong thời gian gần đây ? phải chăng sự biến đổi khí hậu đã làm gia tăng sự phát triển loài bọ xít này cũng như tác động đến sinh lý, sinh thái hoạt động của chúng ?
-Loài bọ xít này có phải là loài truyền bệnh Chagas như ở các nước khác hay không ? bọ xít này khi đốt người có nguy cơ truyền bệnh không ? Thành phần loài và phân bố của bọ xít hút máu ở Việt Nam;
-Đặc điểm sinh lý, sinh thái học và tập tính của chúng (hút máu người/gia súc; nơi ưa thích làm ổ, mùa sinh sản phát triển…);
-Vai trò y học của chúng ở Việt Nam và đề xuất các biện pháp phòng chống bọ xít hiệu quả.
Tài liệu tham khảo
1.Tạ Huy Thịnh và cs., 2002: Hội nghị Côn trùng học tòan quốc (lần thứ 4): 443-446. Nxb. Nông nghiệp.
2.Trương Xuân Lam, 2004: Hai loài bọ xít hút máu thuộc giống Triatoma Laporte, 1832 (Heteroptera: Reduviidae: Triatominae) được ghi nhận ở Vườn Quốc gia Tam Đảo. Tạp chí Sinh học, tập 26, số 3A, Viện Khoa học và Công nghệ Việt Nam: 73-76.
3.Trương Xuân Lam và Vũ Quang Côn, 2004: Bọ xít bắt mồi trên một số cây trồng ở miền Bắc Việt Nam. Nxb Nông nghiệp: 200 trang.
4.Hsiao T. Y. and Ren S. Z., 1981: A hand book for the determination of the Chinese Hemiptera – Heteroptera (II): 438-439.
5.Lent H., Wygodzinsky P., 1979: American museum of Natural Histore New York, 163: 127-516.